山与城|赤牛城!英雄重庆又一不屈堡垒
重庆发布
原标题:山与城|赤牛城!英雄重庆又一不屈堡垒
来源:重庆发布
日前
重庆梁平赤牛城遗址
考古工作取得系列进展
新发现南宋城墙、水坝、瓮城、房址
以及丰富的南宋文化堆积
同时在遗址周边区域
开展了考古调查
发现疑似赤牛城的
前哨阵地等遗存
惊喜亮相的南宋城墙什么样?
赤牛城遗址是如何发掘的?
背后又有怎样的传奇?
重庆发布《山与城》第91期
让我们跟随
重庆市文物考古研究院
(原重庆市文化遗产研究院)
专家一起
走近遗址
讲述考古发掘背后的故事
赤牛城遗址牛头环城、内城与东外城航拍
神秘的赤牛城
宋元(蒙)战争的不屈堡垒
从2019年起,家住梁平双桂街道的老李发现村子附近常出现一群“神秘人”,他们时不时用特制的铲子从地下钻出一些土,又用笔在本子上写写画画,还总是问村民们一些奇怪的问题。
起初老李不知道他们来干什么,后来才明白这些人是考古队员,来是因为牛头村里藏了宝贝。那些在这里生活了几十年的村民一时都很震惊,他们没有想到,自己平时种完庄稼歇脚的地方,在历史上竟然是重要的军事要地。那个被大家喊作牛头寨的地方,真实的身份竟是南宋时期著名的宋元(蒙)战争要塞:赤牛城。
赤牛城遗址东外城远景
赤牛城遗址坐落于梁平城区西部的一座山岗上,紧邻梁平都梁新区,距梁平老城区约7.5公里。据《蜀中广记》《读史方舆纪要》《梁山县志》等文献记载,这座要塞于宋淳祐二年(1242年)建成,控扼梁山陆道,拱卫万州与夔州,是南宋时期著名的“山城防御体系”重要一翼,在宋元(蒙)战争中发挥了重要的作用。
史料显示,南宋后期,蒙古军队大举进犯宋境,川峡四路(今四川、重庆、陕南地区)成为抗元前线。南宋名将余玠在合川钓鱼城抗元,倡议各地施行修筑城寨的战争防御措施。南宋军队采取依山制奇、据险而守的方略,修筑了包括合川钓鱼城、奉节白帝城、涪陵龟陵城、云阳磐石城、万州天生城在内的数十座城池,城中有林木田池可供长期驻守,且各城相互呼应,构成一个庞大的防御体系。

赤牛城遗址东外城北城墙(宋)
重庆市文物考古研究院工作人员马晓娇介绍,梁山(今梁平境内)的赤牛城正是在那时拔地而起。公元1257年和1275年,蒙古军队曾两次进攻梁山,面对云梯箭矢,清角吹寒,血雨腥风,赤牛城岿然不动,在战争中发挥了重要的堡垒作用。
“铜墙铁壁”今何在?
南宋时代古城门惊喜亮相
据了解,经国家文物局批准,重庆市文物考古研究院与梁平区文化遗产保护中心于2019年—2020年,对赤牛城遗址开展了调查、勘探和小面积发掘工作,发现了城墙、城门、建筑基址、道路等遗迹,出土了建筑构件、瓷器、石刻造像等一批遗物,时代涵盖南宋、明、清等各历史时期。

赤牛城遗址东外城北城墙(宋)
重庆市文物考古研究院工作人员马晓娇介绍,梁山(今梁平境内)的赤牛城正是在那时拔地而起。公元1257年和1275年,蒙古军队曾两次进攻梁山,面对云梯箭矢,清角吹寒,血雨腥风,赤牛城岿然不动,在战争中发挥了重要的堡垒作用。
“铜墙铁壁”今何在?
南宋时代古城门惊喜亮相
据了解,经国家文物局批准,重庆市文物考古研究院与梁平区文化遗产保护中心于2019年—2020年,对赤牛城遗址开展了调查、勘探和小面积发掘工作,发现了城墙、城门、建筑基址、道路等遗迹,出土了建筑构件、瓷器、石刻造像等一批遗物,时代涵盖南宋、明、清等各历史时期。
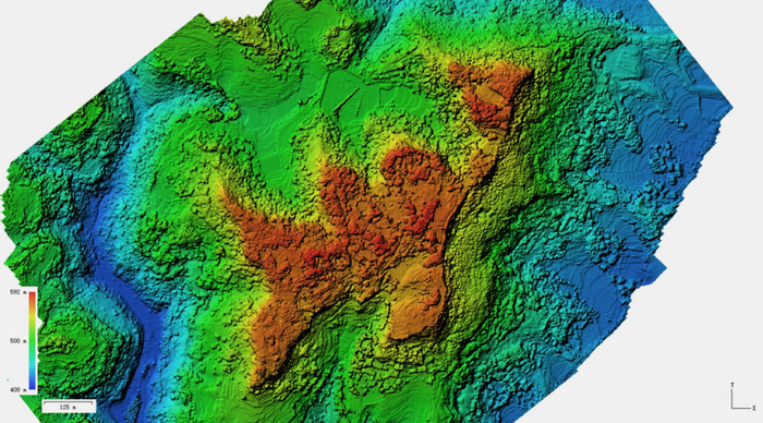
赤牛城遗址数字高程模型
2021年3月开始,考古工作队继续对赤牛城遗址及周边区域开展考古调查、勘探工作。
马晓娇介绍:“虽然2019年就开始了考古工作,也有不少收获,但我们仍然有很多工作要做。” 作为考古工作队的工地负责人,令她印象最深的是关于南宋城门的试掘,“由于城门年代久远,加上遗址范围内到处都是荆棘、草丛和竹子,最初根本看不到城门的痕迹。”
关子门瓮城
“那怎么办?我们寻访了一些当地群众,很多人从小都是在山上长大的,我们问他们能回忆得起哪里有用石头砌的墙吗?或者以前砍柴时候见过什么建筑遗迹没?请他们带我们去看。”就这样,考古队几经周折,终于在一处山坳内发现了一座南宋城门:关子门城门遗址。
“这个惊喜让大家一时笑得合不拢嘴,经过调查,确认这就是南宋的关子门城门遗址。”马晓娇介绍,考古队通过勘测城墙用石的大小与堆砌方式,结合史料,确认城墙的建造年份,“结合史料和实例简单来说,如南宋城墙往往用楔形石头比较多,石块多且比较大,砌墙角度也有所不同;而清代的城墙是用长方形条石较多,采用平砌的角度比较多。”
将军庙寺庙基址俯拍(宋-清)
考古队在城墙东面1公里的位置,还发现一处疑似前哨防御阵地的遗址,“这里位置极佳,视野开阔,且有类似石头垒起来的防御阵地。不过因为时间久远,尚需继续研究勘测。”
石椿柱洞谜团
加快推动考古遗址公园建设
通过近6个月的调查勘探工作,考古队发现解剖了南宋关子门城门遗址,进一步厘清了赤牛城山城防御的城防格局,证实其为南宋山城防御体系的重要典范。在考古勘探试掘中,也出土了诸多文物,其中较为经典的南宋时期的三足炉,“它造型精美,甚至称得上是非常可爱,因为年代久远且有破损,目前我们已将其送重庆市文物考古研究院,采取修复措施。”马晓娇介绍。
出土的三足炉(宋代)
本次考古发掘中,一处南宋时期的水坝遗址也重见天日,“我们最初在赤牛城南段发现了石头砌的墙,最初以为是城墙,但后来勘察发现,在冲沟对面也有对应的墙体,且还发现泄洪沟等遗迹,推测应为一处被冲垮了的水坝。”马晓娇介绍,经过调查,考古队推断此处应该为当时赤牛城的一处重要水利设施。

将军庙寺庙基址出土佛头(清)
在水坝北侧,考古队还发现了方形柱洞100余个,部分洞内还立有石柱,与《梁山县志》记载的“石椿”相吻合,考古队还发现了方形的石椿柱洞100余处,这在重庆山城防御体系遗址中尚属首次发现。马晓娇表示:“目前可以肯定是人为形成的柱洞,而且它们有一定的规律,少量柱洞里面立了石头,而多数是空的,对于石椿柱洞的用途,还需要我们做进一步调查。“

赤牛城遗址高台建筑基址近景
日前,重庆市文化旅游委组织专家已对赤牛城遗址考古项目进行现场验收,专家组对赤牛城遗址考古工作给予充分肯定。接下来,相关单位将加快考古资料整理和发掘报告编写,尽快完成成果转化,全面深入研究遗址性质和文化内涵,围绕“文化+旅游”尽快启动遗址保护与利用总体规划编制,加快推动考古遗址公园建设。