新浪新闻

美国飓风百万人大撤离 中使馆提醒加强安全防范

地球日报

关注

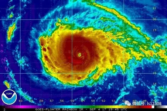
据美国国家飓风中心消息,“艾尔玛”将于10日早间抵达佛罗里达群岛并向北移动袭击佛罗里达州西南沿海地区。据统计,截至目前,全佛罗里达州范围内已有7.5万人住进安置点,约630万人接到了撤离指令。中国驻休斯敦总领馆发布提醒:在美国波多黎各、佛罗里达地区中国公民和机构注意防范艾尔玛飓风。而圣马丁岛遭遇飓风袭击治安恶化,中国驻威廉斯塔德总领馆提醒中国公民注意安全。

当地时间2017年9月8日,美国佛罗里达州,随着在加勒比海上肆虐的飓风“艾尔玛”向美国南部靠近,佛罗里达州大量民众正加速撤离潜在受灾地区。视觉中国 图

CBS称: 在佛州,全部人口的1/4、约560万人被要求撤退,另外54万人被告知离开格鲁吉亚海岸。当局为没有离开的人设置了数百个收容所。远至亚特兰大的酒店都住满了疏散人群。

当地时间2017年9月9日,美国佛罗里达州埃斯特罗(Estero),肆虐加勒比海地区的飓风“艾尔玛”逼近美国佛罗里达州,民众提前前往临时避难所避难。( 东方IC)

当地时间2017年9月9日,美国佛罗里达州迈阿密,飓风“艾尔玛”即将来袭,当地动物园将动物园迁至避难所避难。据悉,肆虐加勒比海地区的飓风“艾尔玛”正朝美国佛罗里达州移动,预计将于当地时间10日早上登陆。(东方IC)

美国联邦紧急措施署署长7日警告称,“艾尔玛”将造成“毁灭性”影响;迈阿密大学气象专家称,这是美国历史上有据可查的带来损耗最严重的一场灾害 ……

佛罗里达州州长斯科特(RickScott)再次向撤离区的居民发出严重警告﹕我们已经没有时间了。如果你位于撤离区﹐必须现在就走。这是一次我们州以前从未见过的灾难性风暴。

茱莉安娜公主国际机场损毁情况

圣马丁岛损毁情况

美国总统特朗普指出,艾尔玛是“具有史上罕见摧毁风险的飓风”,提醒民众一定要密切注意政府官员,以及警方所发布的讯息。特朗普位于佛州棕榈滩的私人度假村海湖庄园,也位于被下令撤离的范围内。

重新加强为五级飓风

气象部门预计,艾玛已经获得大西洋跨赤道气流的支援,在进入巴哈马暖池后还会获得加勒比海西南暖湿气流的支持,高空西风急流也将为艾玛打开。因此在登陆前,艾玛的暴风圈和飓风圈还将迅速增大3倍左右。

美国国家飓风中心已预测,艾玛将以最高等级的五级飓风登陆佛州。

据路透社报道,“厄玛”此次登陆美国,恐将给美国核电站带来严峻考验。预计“厄玛”登陆佛罗里达州南部时,风速高达每小时145英里(233千米),并将带来12英尺(3.66米)的风暴潮。而佛罗里达州拥有4座海岸核反应堆,“厄玛”的登陆位置预计将位于佛州最大核电站——土耳其角核电站两座核反应堆的西侧。

佛罗里达三大机场相继关闭

据@中国气象爱好者微博,奥兰多国际机场于当地时间9日(周六)关闭;坦帕国际机场于9日晚上关闭;迈阿密国际机场的最后一个商业航班已于一小时前离港,周六日两天所有航班取消。

该微博呼吁,由于机场的关闭时间可能会有调整,请有出行需要的华人朋友密切关注航班动态,与机场、航空公司保持联系,做好预案!

据美国零售油价追踪网站(Gasbuddy.com)9月9日消息﹐佛罗里达州大都市区﹐近三分之一的加油站都已经没有汽油。佛罗里达公路巡逻队正护送油罐车至各个加油站﹐增加补给。

佛罗里达的一处避难所内

避难民众的失落与不安

飓风“艾尔玛”还未抵达,美国佛罗里达州南部已经笼罩在阵风和阵雨之下。记者9日走访安置点时看到,随着飓风临近,一些撤离到安置点的迈阿密群众难掩失落与不安。

“不用担心,我现在待在安置点,一切都好。”52岁的拉姆纳拉因安慰电话另一端焦急的亲人。

家住迈阿密北部自由城社区的拉姆纳拉因两天前接到撤离通知后立即预订了飞往纽约的机票,不过临行前收到通知航班被取消,腿脚不方便的他只得接受安排前往南迈阿密高中的一栋教学楼里避难。

这里容纳了800多名和拉姆纳拉因一样的撤离民众,由于时间紧迫,不少人没有带多少生活必需品。他们栖身在一至三层的教室和走廊里,桌椅、床垫、杂物等几乎占满了地面,走廊内人来人往,十分嘈杂。

拉姆纳拉因说,这里其实早就满员了,但一直有民众被陆续安排进来,个人空间越来越有限,基本毫无隐私。他一直睡不好,也没有什么人能说话,感到很孤独。不过因为不想亲人为自己担心,他从未提起过这些问题。

另有住在这里的多名民众反映,他们吃不到热汤热饭,每人每顿饭只有一个冷三明治和一小杯橙汁。他们也被禁止看电视和报纸,因为担心媒体关于飓风来袭的报道会制造恐慌。这些人表示,虽然是来避难,但他们有权知道外面正在发生什么。

已经住了3天的贝尔吉斯·萝贝纳说,“我们需要更多食物、需要洗澡,婴儿需要尿布,楼里到处都是婴儿哭闹的声音。”她抱怨说,先前袭击得克萨斯州的飓风“哈维”透支了赈灾资金,自己没有感受到帮助。

南迈阿密高中西北方向10公里外的迈阿密-戴德县会展中心是本地为数不多的同时能够安置民众和宠物的场所。

步入会展中心2号门,迎面就能看到数百个紧挨着摆放的笼子,大多数关着宠物狗,品种繁杂、体型大小不一。笼子上一般盖着毛毯或塑料布,上面压着狗粮和食盆等,一方面帮助宠物保持体温,另一方面也用于遮挡它们的视线。

宠物安置区旁边住满了大批撤离民众,多数民众躺在自带的弹簧床垫上休息、看手机,也有人在地上铺了条毯子坐靠在墙边或折叠椅上,还有人出去遛狗、透气。

一名不愿意透露姓名的工作人员告诉记者,这里原计划容纳500人,但已经接纳了超过1200人,目前不再接纳新的撤离民众。由于人手紧张,志愿者们已经连续工作数天。安置点每天提供午、晚两餐,不过没有淋浴设施。

正在会展中心外面遛狗的马克斯·布贝告诉记者,他和妻子带着4个孩子住在这里,他们在戴德县的房子有可能被飓风“艾尔玛”引发的洪水淹没。

布贝说,他一直养狗,并不介意和宠物住在一起,异味、狗叫都能忍受,但要与这么多宠物同住一个屋檐下实在不是一件让人愉悦的事情。他坦言,自己不知道飓风过后是否有家可归。

戴德县官员埃尔南德斯9日说,约有2.9万名民众已入住安置点,创该县飓风灾害安置纪录。

据统计,截至目前,全佛罗里达州范围内已有7.5万人住进安置点,约630万人接到了撤离指令。

飓风“艾尔玛”于8日晚以五级飓风强度登陆古巴,9日凌晨减速降级三级飓风后持续向西移动。

据美国国家飓风中心9日最新消息,“艾尔玛”预计10日早间抵达佛罗里达群岛并向北移动袭击佛罗里达州西南沿海地区。而据此前气象预测,佛罗里达州西南沿海地区并不在飓风移动路径上,甚至有不少东部和中部沿海地区民众转移过去。现在该地区有几十万名居民已接到撤离指令,不少人向媒体表示,自己根本不知道该去哪里避难。

仍有部分居民留守“

迈阿密目前还有一家餐厅仍在营业,餐厅经理说,现在还有9名员工留守:

来自英国的尼基和她的男友仍然决定享受他们的假期,因为人们离开,这里就像他们的私人海滩:

“撤还是不撤?”这是个问题

刚刚遭遇另一个五级飓风哈维横扫的德克萨斯州休斯顿市市长并没有下令撤离,这让他事后遭到媒体质问。不过,撤还是不撤?这是一个颇难抉择的问题。

据介绍,美国人所说的“撤离”和国内的“紧急转移安置”有所不同,并不是简单地把人疏散到附近的避难所或者投亲靠友,而是拖家带口开车去几十公里甚至几百公里外的内陆地区。

为什么如此大费周章?原因很多,但很重要的一点是,多数美国普通家庭都住在郊区的独立屋(House)里。而美国的城市特点是只要出了市中心,往往方圆几公里内都不会有超过两层的房子,一旦风暴潮或洪水来袭,人们根本没地方躲,只能事先撤往内陆。并且House的抗风能力也不如钢筋水泥建筑。顺便说一句,美国的撤离行动本质上是自愿的,哪怕是强制撤离令,你不想走,那也是你自己的事。

而另一个更重要的原因,是全城撤离会有极其高昂的风险和代价。2005年秋天,飓风丽塔直扑休斯顿都会区。鉴于三周前的飓风卡特里娜刚刚将新奥尔良变为人间地狱,加上丽塔五级飓风的惊人强度(虽然后来登陆前减弱为三级飓风),市长见势不妙,果断下令:撤!

于是370万市民开始了一场美国历史上最大规模的撤离行动,休斯顿往内陆地区的高速公路全部堵爆。

2005年丽塔飓风的疏散反而造成悲剧

故事的结局令人颇为无奈——飓风没有正面袭击休斯顿,都会区逃过一劫,但撤离行动却导致了巨大混乱,100多人死于撤离路上的意外,一家护理中心的大巴在高速公路上起火,23人被活活烧死,而最后直接死于飓风灾害的只有7个人。几百万人撤离带来巨大的经济和社会损失更是难以用数字衡量。

有了惨痛教训的休斯顿,自此对于发布全城撤离令慎之又慎。对于市长来说,这是一个无法轻易做下的决定。

佛州华人躲避厄玛飓风去加州

今年刚刚入学迈阿密大学研究生学院的中国留学生小杜,来美国刚刚一个月的时间,便赶上了哈维飓风,现在的他已经和同学们成群结伙地踏上了“逃难自驾游”,在外人看来这趟出行着实有些仓促和意外。

原本计划寒假的时候再去加州,结果飓风来袭,小杜一伙留学生好友,已经在Airbnb上订好了洛杉矶和旧金山的房子,准备一起驾车到加州躲避飓风,顺便走一走西海岸的一些主要城市。

不过小杜却表示:“国内的亲友似乎比我自己要担心更多,家里亲戚自从我来了美国,他们喜欢每天盯着国际新闻看,每当美国有任何风吹草动,家里人就会开始大惊小怪地开始担心这担心那:会不会被大风卷走啊,会不会被洪水淹死啊,当我告诉他们我和同学准备逃亡加州的时候,他们又开始担心:那会不会遇到地震的啊。不过这种令人哭笑不得的担心却让我第一次在出国留学后感受到来自家人的挂心。”

中国使馆提醒|在美国波多黎各、佛罗里达地区

中国公民和机构注意防范艾尔玛飓风

鉴于此次美国飓风的巨大威力,中国驻休斯敦总领馆特此提醒:

一、请在波多黎各、佛罗里达地区中资机构、华侨、中国留学生及游客密切关注艾尔玛飓风相关官方预警信息,做好应对飓风灾害准备,提前采购必要生活和应急物资。互帮互助,互相支援。

二、建议计划临时前往上述地区的中国公民调整行程。

三、遇有紧急情况,请拨打911电话报警,或根据当地政府公布的联系方式求助。

驻休斯敦总领馆领事保护与协助电话:+1-713-302-8655。

外交部全球领事保护与服务应急呼叫中心电话:+86-10-12308或+86-10-59913991。

(本提醒有效期至2017年9月12日)

日前,艾尔玛已造成加勒比海多个岛屿遭到严重破坏,至今共有20人死亡。泛美卫生组织担心灾区将爆发疫症,并期望安排灾民撤离当地。古巴当局已疏散东北部海岸地区70万人

圣马丁岛遭遇飓风袭击治安恶化

中使馆发安全提醒

飓风“艾尔玛”来袭,圣马丁岛遭遇飓风袭击后,当地治安状况恶化并发生商铺哄抢事件。

外交部和中国驻威廉斯塔德总领馆提醒在圣马丁中国公民提高安全意识,加强安全防范,注意人身和财产安全。如遇紧急情况,请及时报警或联系中国驻威廉斯塔德总领馆。

当地报警电话:911

中国驻威廉斯塔德总领馆领事保护与协助电话:+599-95213366

外交部全球领事保护与服务应急呼叫中心电话:+86-10-12308或+86-10-59913991

《外交之声》综合自新华社、央视新闻、中新网、领事直通车、观察者网、澎湃新闻、东方IC、视觉中国等

外交之声

Voice Of Diplomacy

直通使馆 放眼世界

加载中...