新浪新闻

杭州主城区核心资产“天工艺苑”推介

21世纪经济报道

关注

原标题:杭州主城区核心资产“天工艺苑”推介

点击边框调出视频工具条

杭州主城区核心资产“天工艺苑”推介

1

项目梗概

项目背景

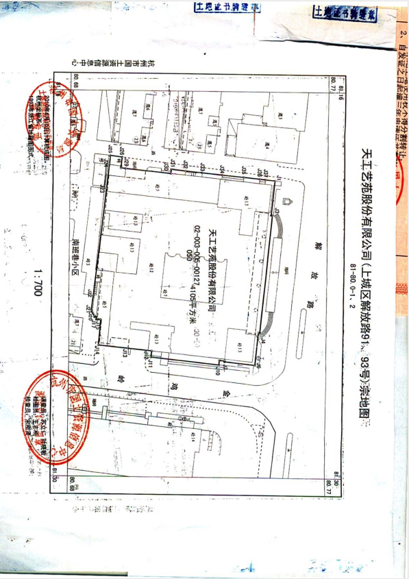
浙商资产持有债权项下的抵押物——天工艺苑股份有限公司名下位于杭州市解放路91、93号的天工艺苑大楼。目前由杭州市下城区人民法院对天工艺苑大楼开展执行拍卖,起拍价格为68352.8万元。

天工艺苑大楼共计13层,其中地上12层,地下1层(车库),土地面积4105㎡,使用权类型为出让商业,证载面积39303.58㎡。

拍卖时间

2021年04月22日10时至04月23日10时

合作方式

欢迎各类投资人咨询,洽谈产融合作,除接受拍卖公告进行分期付款外,浙商资产可提供多元化金融服务。

合作联系

浙江省浙商资产管理有限公司

吕先生 0571-85273708 13968179298

宋先生 0571-81106805 15397183756

2

地理位置

天工艺苑大楼位于杭州市上城区解放路91、93号,地处杭州核心地段。正对浙大二院,距离浙大一院和市三医院500米;距离西湖1.5公里;距离地铁 1号线、5号线城站500米。

3

项目亮点

1

极具吸引力的价格

根据第三方专业房地产评估机构估价,天工艺苑大楼市场价值为118668.05万元人民币。本次拍卖起拍价仅为68352.8万元,具有极高的性价比,具有良好的保值升值空间。

2

地理位置得天独厚

大楼位于杭州解放路商圈核心区域,东临杭州城站铁路核心区和四季青服装市场,西近西湖风景区和湖滨商圈,南倚吴山商圈,北附浙大两大医院,周边住宅小区、写字楼密集,交通非常便利,地铁1号线和5号线环绕,人流量巨大。

3

医疗资源极为丰富

以其为核心的1.5公里区域内有6家三甲医院(浙大一院、二院、省妇保、市一、市三及省中医院),在吸附人流量的同时,为开展名医咨询、高端医疗服务、养老、院外康复等大健康产业匹配了极佳的区位和行业支撑优势。尤其距离浙大二院仅50米,得天独厚的位置优势为大楼带来稳定且较高人流量,进而为其商业经营形成强大支撑。

4

经营业态多样、租金收入稳定、改造提升空间极大

目前大楼内覆盖了餐饮、健身、美容、院外康复、酒店等经营户,经营客源稳定。入驻商铺租金收取正常稳定,目前租金收费低于同板块同类型商业体,大楼土地使用期限至2044年7月15日,土地使用年限较长,利于后期进行腾挪改造。改造提升空间极大(可腾挪使用空间达到大楼总面积的约30%)。重新翻修改造后,可大幅提升租金收入。

5

停车位配备充足

拥有自主车位约200个,与同地段同类型物业相比,停车位配备和流动性较好,除能够满足大楼日常经营车位需求外,还可满足浙大二院及周边其他商铺顾客一定的车位需求。“车位”为所在区域稀缺资源,盈利性可观。

6

基础设施齐全、维护有序

消防、供水、排污排水、供电、燃气、通讯、隔油池等基础设施齐全。大楼物业配备专业团队进行针对化重点管理,杜绝安全隐患。

7

大楼建设质量优秀

2012年荣获浙江省建设厅颁发的“年度浙江省建设工程钱江杯奖(优秀勘察设计)——建筑结构二等奖”,是建筑结构专项评奖领域唯一奖项。

4

项目现状

1

物业整体满租年收入约5000万元(根据周边市场平均租金价格予以参考,不做交易承诺)

2

建筑主体含地下1层,地上12层(不含13层办公室)

3

登记房产面积:39303.58平方米

4

登记土地使用面积:4105平方米(商业出让)

5

当前进驻产业:医美、大健康机构,品牌连锁酒店,餐饮美食,健康娱乐等。

6

当前对外租赁面积2.5万㎡,租约详情欢迎讯洽。投资人司拍取得物权后,可继续向承租人收取租金,目前承租人可向新产权人正常交付租金。

5

项目房产证/土地证

房产证载面积:39303.58㎡ 。

项目土地证:4105㎡

6

项目估值

2020年估值为118668.05万元(依据2020年09年11日,杭华正(2020)估字第30076号《评估报告》 ),价值有进一步提升空间。

7

未来展望

1

医疗康养大健康

依托于周边区域内丰富的医院及医疗资源,根据周边市场同类楼宇调研,在业态组合及区位条件下,天工艺苑大楼非常适合接入“医疗+康养”模式,承接周边医院流量,具备高端康养产业的接入基础条件。

2

酒店+公寓

目前大楼内两家品牌连锁酒店运营良好:和颐酒店单间客房收益率位列如家高端品牌杭州区域第一,入住率常年高于80%,该酒店良好的服务品质与经营状况使其成为品牌内部标杆;如家精选酒店作为如家中端加盟酒店,入住率保持在90%左右,其与和颐酒店共享基础设施,保持了良好的品牌管理品质与经营收益率。业态在本区块具有非常良好的转化率,未来可引入新酒店进行统一管理,承接周边各大三甲医院外溢客流。

3

商业综合

目前大楼内商业板块覆盖了餐饮、健身、美容、院外康复等经营户,经营客源稳定。根据走访,餐饮行业是此区域内最适合经营及客源稳定的行业,可以大量承接来自于各大医院客流。同时大楼内也具有大块空置区域,可引入新商业形式,具备整体拔高现有大楼商业定位的客观条件。

8

拍卖链接

加载中...