新浪新闻

台风天鹅将加强为今年“风王”!20号台风也在酝酿,至于深圳天气......

深圳晚报

关注

原标题:台风天鹅将加强为今年“风王”!20号台风也在酝酿,至于深圳天气......

今天早晨体感稍凉

嘿嘿冷空气终于光顾深圳~

虽然不能持续几天

但是还是给我们带来了丝丝凉意

看看这绿油油的“小鸡腿”

真是心情舒畅啊~

本日周五

大家继续元气满满地上班学习吧~

最近台风一个接一个

又有一个台风生成了!

据中央气象台消息

今天(10月29日)早晨5点钟

今年第19号台风“天鹅”

(英文名称:Goni;名字来源:

韩国;名字意义:一种鸟)

在西北太平洋洋面上生成

为热带风暴级

中心附近最大风力8级(18米/秒)

据@中国气象爱好者:

截至目前

今年以来全球最为猛烈的风暴增强

已在“天鹅”身上发生

据数据来看它在30小时内

已经连跳五级

从热带低压直升超强台风

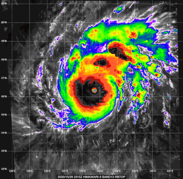
云图可见它有强烈的圆形核心对流

清晰的台风眼

↓↓↓

天鹅将在今天超过海神成为

2020年迄今西北太平洋最强台风

预计

“天鹅”将以每小时25公里左右的速度

向偏西方向移动

强度逐渐加强

最强可达强台风级

11月2日将进入我国南海海域

值得注意的是

昨日除了19号台风的生成

仅仅18个小时后

20号台风艾莎尼也在太平洋深处生成

自此,2020年10月已有7个台风生成,为1992年以来台风最多的10月,打平了二战以来的历史纪录。

还记着2015年七夕节吗?

那天生成于同日同时的双台风

“天鹅”、“艾莎尼”花式秀恩爱!

上一世七夕双超台,

这一世万圣再续前缘

#台风天鹅# #台风艾莎尼#

所以网友们对20号台风的关注度也很高

相比“天鹅”而言

艾莎尼非常复杂

由于天鹅已猛烈爆发

它正像一台巨型发动机

排出大量废气

而艾莎尼将受天鹅的“尾气”影响

暂时不能加强

待天鹅登陆菲律宾

明显减弱后,才会加强

大家最关心的问题是,

台风“天鹅”对深圳有何影响?

简单来说

未来三天对深圳无直接影响

其他时候

可能就不好说了

大家持续关注我们的报道吧~

接下来

一起来看看

深圳接下来的天气吧~

据气象预测图来看

下一周都会有太阳🌞

很适合晒被子~

感觉应该很舒适的样子

周末应该又是凉爽干燥的好日子

4条新地铁线也开了

大家是去爬山还是去看海呢?

加载中...