住高档小区的烦恼:“人车分流”的美好规划竟化为泡影...业主们很生气
解放日报
在申城这两年开发的新小区里,“人车分流”几乎是“标配”,成为衡量一个小区品质和人性化布局的重要标志。近日,上海浦东锦绣路上的“锦绣前城”小区就因为“人车分流”被破坏,正上演一场“路线之争”。
业主王女士反映,事情缘于附近一座桥通车后,小区调整了出入口;出入口变了,小区内车辆行走的路线也得相应调整。物业随后在规划车行线路时,选择了一条穿行于小区内部的路线。而这,使得开发商精心设计的“人车分流”化为泡影。业主据理力争,认为这样不合理、不安全;但物业坚持己见,双方闹得不可开交。
车在小区里怎么开,这个事究竟由谁来说了算?

麻烦起于新建的前锦桥
锦绣前城小区位于锦绣路西侧、龙阳路南侧,北临白莲泾,南侧与另一个小区星河湾相对。小区东侧为一期,约去年6月开盘入住;西侧二期不久前“双十一”刚刚开盘。小区内除了北侧临河一排为小高层外,其余均为多层楼。区别于普通小区的是,锦绣前城小区为新颖的街坊式小区,即小区是开放式的,没有大围墙,而是将一排或两排楼组成一个“住宅组团”,每个组团用小围墙加以封闭,并设有一个组团入口,组团之间完全独立、互不相通。
业主马女士告诉记者,小区原本设计为南侧中央处为人行主入口。主入口进入小区后,一条南北向的通道贯通了小区各个组团,且组团人行出入口均开设在南北通道上。而且买房之初,开发商还告知,南向北的人行通道两侧还规划有商铺,是小区的“商业步行街”;至于车辆,则主要通过小区东西两侧的通道进入,多个车库的出入口也设计在了这两条车行通道上。而组团与组团之间的东西向通道,开发商设计为“消防通道”,平时并不走车。按照小区原本的这一设计,人车实现完全分流,相安无事。

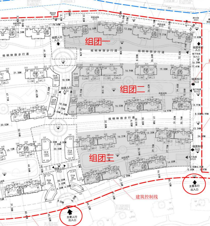
图为小区的规划设计图(一期部分),图中,解放日报上观新闻记者标记出了东侧一期3个组团的范围;规划图上,清晰地标记了最东侧的道路为车行道路,而中央南北向的则是人行道路,人车实现分流。
一期的业主入住后发现,由于小区南侧的道路与星河湾共用,高峰时段道路颇为拥堵。为了改善小区出行,开发商陆家嘴集团又在北侧的白莲泾上搭建了一座钢结构的桥梁,名为“前锦桥”,使得小区的车辆也可以由北侧出行,过桥后可以直接进入龙阳路。前锦桥今年4月建成通车。并且,这座桥在北侧桥头处设置了蓝牙道杆,为锦绣前城小区的业主“独用”。相应的,小区北侧连接前锦桥处,也成为了小区的一个新出入口。

△小区后方新建的“前锦桥”,成为了事件的“导火索”。
本是一件好事,没想到却给小区带来了无尽的麻烦。
有争议的“南辕”和“北辙”
业主王女士称,今年4月,前锦桥通车后,一个现实的问题是,车辆从东西两侧的车库出来后,将怎么开到前锦桥处。而且,小区一期交房以后,从北至南3个组团前方的3条东西向消防通道两侧均是封堵的,最北侧临河的通道,是用两扇铁门予以封闭;其余两条,则是用可移动的花坛拦堵。从车库出来后,若要向北从前锦桥走,必须得借由这3条通道中的一条。那么,取道哪一条呢?
业主称,小区“陆家嘴物业”最初是将最北侧临河通道的铁门打开,供车辆通行。但此举随即招致北侧第一排“组团”内的高层业主们集体反对,理由是高层的底楼大堂在南北均设有出入口,而北侧出入口距离通道较近,通道通车影响了居民的出入安全。北侧通道通车仅三四天后,物业随即将铁门拉上,通道恢复封闭。取而代之,物业又将第一排组团与第二排组团之间的第二条东西向通道打开,供车辆通行。

图上白线为物业第一次采用的行车线路,但因北侧第一组团的业主们反对而作罢。

物业随后采取了目前的通车方案,借道一小段南北向的步行街,随后与东侧车行道联通。
新问题接踵而来。借用第二条通道时,车辆还需要借用一小段南北向的步行街,这又带来了人车混行的新矛盾。不过,由于当时步行街尚在施工,并未投入使用,反对声相较于此前弱了不少。而且物业还称,若再反对,只能将前锦桥封闭弃用。最终,一期的业主们只能接受了这一既成事实。
今年双十一,二期业主拿房入住,商业街也正式启用。物业本打算依法炮制,将二期的第二条通道也打开,方便二期业主从北侧出行。这一次,物业的举动遭到了二期大多数业主的强烈反对。

业主们认为,南北向的步行街是业主们休闲活动的主要场所,尤其是图上的广场处,走车将会带来较大的安全隐患。
根源就在于所谓的“组团”
12月28日上午,记者前往锦绣前城小区。虽然已经过了早高峰,站在小区北侧出入口处,记者看到进出小区的车依然不少。而由于二期居民的阻拦,二期的第二条通道未能开放行车,用于阻隔的可移动花坛依然摆在路口。二期居民向记者确认,目前二期并不能直接前往前锦桥。
记者前往小区物业了解情况,物业的冯经理向记者解释了事件的前因后果。据称,问题的根源其实在于北侧沿河第一排高层的“组团”上。记者在现场也看到,和南侧组团不一样的是,北侧第一排组团围墙并非全封闭,而是只围了南面一半,北面是开放的,直接与东西向消防通道相连。为了维护组团的封闭性,开发商和物业当时采用了一个变通之举,即记者此前看到的用铁门将通道两侧封闭,把消防通道以及北侧的沿河绿化带连带圈进组团。因而,若是将铁门移开、通道行车,北侧第一排就失去了组团的意义,这才是北侧高层居民当时反对的真正原因。加之高层居民人数众多,若强行开放走车,矛盾激烈。

北侧的第一排组团由于围墙并非全封闭,开发商用两扇铁门将通道封闭,以实现封闭组团的效果;而这也是业主们拒绝让通道开放走车的原因。
因而,衡量再三,物业才采用了现在的行车路线:即占用一段南北通道,维护第一排组团的封闭性。那么,南北通道走车安全吗?冯经理称这一段实际上不能算入“步行街”,其宽度设计上本身就可以走车。
“开发商为何没有将第一排组团完全封闭?”冯经理称,“这具体就要问开发商了。”
物业擅作主张程序合法吗?
对于物业的说法,业主们予以了否认。在业主随后提供的小区规划图、售楼处沙盘图上,这条贯穿南北的通道最初的设计应该仅仅是人行通道。并且,记者在现场看到,由于小区北侧出入口处有一段斜坡,车辆从前锦桥进入小区后,车速都较快,而两侧就是组团的出入口,存在一定的安全隐患。

小区北侧出入口处有一段斜坡,车辆从前锦桥进入小区后,车速都较快,而两侧就是组团的出入口。
“不能因为迁就小区一部分人,就损害另一部分人的利益,谁给了物业决定的权利?”对于物业的做法,二期业主李先生也表示了不满。二期交房后,二期的部分业主已多次前往物业讨个说法,质疑物业在没有召开业主大会、征询全体业主的情况下擅作主张,属擅自变更小区共有设施,违反《上海市住宅物业管理规定》。
对此,物业称曾召集一期的业主开过会,当时一期的业主们是同意的。物业经理称,“二期业主有意见,可以二期单独做征询,再视结果决定是否将通道开放、怎么开放,但一期没有必要再征询。”但记者随后要求物业提供一期业主同意的书面证明,对方却拿不出。而且,业主们认为,小区南北通道属一二期共用,即便一期业主同意也无效,能否走车必须全体业主一起征询。
另外,业主们称,开发商同样有不可推卸的责任:在小区已规划建成的情况下,开发商擅自更改规划,给小区增加了北侧这一个机动车出入口,而小区内部的规划又没有相应作调整,此举也极不负责任。业主认为,开发商改变小区原有出入口、道路规划的,应向规划部门履行变更手续。开发商若不能履行购房时“人车分流”的承诺,业主应也可以追究开发商的违约责任。
事实上,北侧第一排组团完全有条件改为全封闭,并将通道独立出来,同样实现人车分流,“只是开发商不愿意去做。”
锦绣前城小区的“线路之争”如何收场,解放日报·上观新闻将予以关注。
本文来源:解放日报·上观新闻
作者:毛锦伟